2 Cemetery Plots for sale in Washington Park East Cemetery – in water front section of Patriot Lake.
Moving away from the area and selling 2 ground burial sites at Washington Park East Cemetery at 10612 East Washington Street, Indianapolis, IN 46239
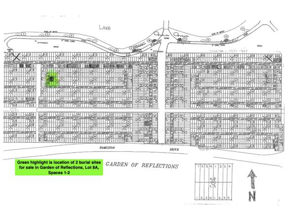
Garden of Reflections, Lot 8A, Spaces 1-2. These grave sites overlook Patriot Lake, and are a short walk to the lake - see attached maps.
$2,800 (OBO) for both burial lots – seller to pay $300 transfer fee to cemetery. Will meet at cemetery or my local bank to complete transfer of deed, and notarize as required by cemetery. Price is $500 lower than retail.
Must speak to real person before transaction. call: 24Eight - 613 -20three3